LES ANNONCES
Acheter
28 900€
Exclusivité ! Situé en plein coeur de Châteauneuf-sur-Loire, dans un immeuble de 4 lots, ce local professionnel vendu libre destiné à une activité indépendante, un bureau ou un espace de stockage sécurisé.
Composition :
Un bureau de 8 m2 lumineux à l...
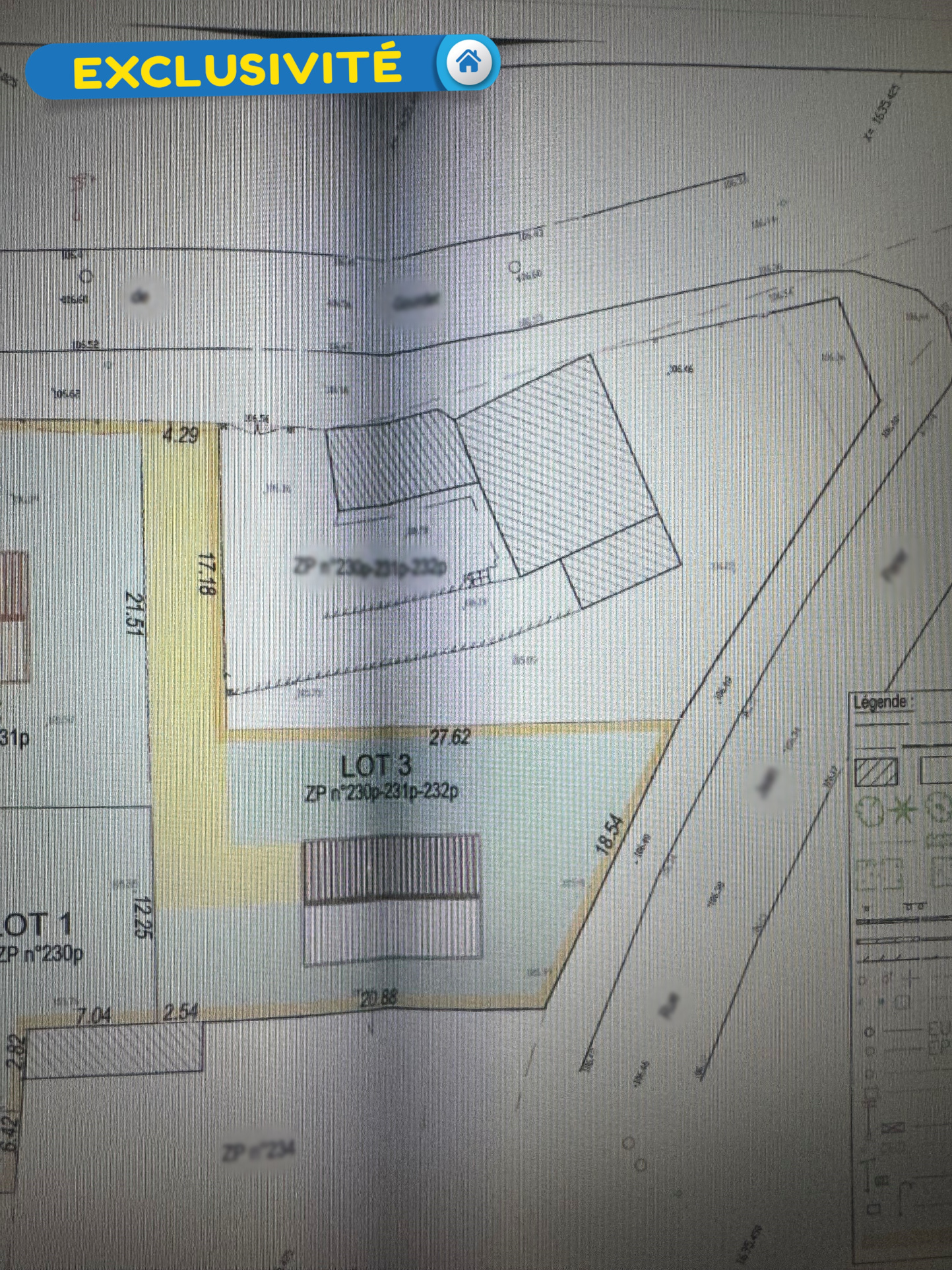
36 900€
Beau terrain à bâtir non viabilisé, situé en premier rang sur la commune de Saint-Martin-d'Abbat, charmant village du Loiret à seulement quelques minutes de Jargeau et à une vingtaine de kilomètres d'Orléans.
Les raccordements (tout-à-l'égou...
39 900€
Terrain à bâtir en second rang, au calme de 1.381 m2 environ au centre de la commune de VANNES SUR COSSON.
Terrain non viabilisé, libre de constructeur.
Etude de sol réalisée.
44 900€
Exclusivité ! A Germigny-des-Prés, au calme et sans vis-à vis, terrain à bâtir de 2000 m2 avec un potentiel de constructibilité de 250 m2. Libre de constructeur. Non viabilisé.
49 000€
Exclusivité ! Terrain à bâtir proche des commerces d'environ 533 m2. Libre de constructeur - non viabilisé.
Possibilité de faire construire deux maisons mitoyennes.
69 900€
1 chambre
Exclusivité ! Situé au 1er et 2ème étage d'un immeuble de 4 lots, cet appartement T2 vendu loué est composé de :
Entrée
Salon, cuisine, chambre
Salle d'eau avec WC
Informations locatives :
Appartement vendu loué : 490 EUR/mois
Reve...
85 000€
Exclusivité ! Terrain de loisir ou territoire de chasse de 4,7 hectares environ avec étangs.
Ni eau, ni électricité.
Calme absolu, à découvrir !
89 900€
2 chambres
Situé au 1er étage d'un immeuble de 4 lots, cet appartement T3 vendu loué est composé de:
Séjour-salon avec coin cuisine
Deux chambres avec mezzanine
Salle d'eau
WC indépendant
Informations locatives :
Appartement vendu loué : 590 ...
104 800€
2 chambres Parking / Garage
Appartement au rez-de-chaussée comprenant une entrée avec deux placards donnant d'un côté sur un salon avec cuisine semi-ouverte puis de l'autre sur l'espace nuit comprenant deux chambres, une salle d'eau et un wc.
Une cour privative, u...
116 900€
2 chambres Parking / Garage
Exclusivité ! En hyper-centre de Châteauneuf-sur-Loire, appartement en duplex dans résidence sécurisée comprenant : une entrée, un séjour-salon, une cuisine, une chambre, un WC, une salle de bains puis au niveau supérieur une chambre-mezzanine et un dressing.<...
121 900€
3 chambres Parking / Garage
Grand appartement (constitué par deux lots de copropriété) au deuxième étage d'un immeuble dans l'hyper centre ville de Sully sur Loire comprenant pour l'un un séjour-salon avec cuisine ouverte, un dégagement, une chambre et une salle d'eau...
126 900€
2 chambres Jardin
Exclusivité ! En hyper-centre de Châteauneuf-sur-Loire, maison d'environ 67 m2 comprenant au rez-de-chaussée un séjour-salon avec cuisine aménagée, une salle d'eau avec WC.
A l'étage, un palier et deux chambres.
Une véranda et une terra...
126 900€
2 chambres Jardin
Maison de plain-pied à rénover proche tous commerces comprenant une entrée, un séjour-salon, une cuisine, un cellier, deux chambres dont une avec cheminée, une salle d'eau et un Wc.
Possibilité d'aménager l'étage, accessible par l'extér...
134 900€
1 chambre
Maison rénovée en 2017 d'environ 48 m2 proche de Boigny-sur-Bionne comprenant un spacieux séjour salon, cuisine aménagée et équipée.
A l'étage, palier, chambre avec une salle d'eau avec WC.
Jardin privatif.
139 900€
3 chambres Jardin Parking / Garage
Exclusivité ! Maison ancienne de charme à rénover à Combreux comprenant au rez-de-chaussée : séjour-salle à manger avec cheminée, cuisine, chambre, salle d'eau, WC, rangement puis à l'étage : palier et deux chambres.
Garage (ou dépendance), appen...
146 900€
3 chambres Jardin Parking / Garage
Exclusivité ! Maison de 74 m2 environ dans résidence sécurisée comprenant au rez-de-chaussée : séjour, cuisine ouverte aménagée et équipée, WC, cellier, puis à l'étage : palier desservant trois chambres et salle de bains avec WC.
Garage attenant et deu...
149 800€
2 chambres Jardin
Exclusivité ! Proche du centre-ville de Châteauneuf-sur-Loire, une maison d'environ 67 m2 comprenant, au rez-de-chaussée, un séjour salon avec cuisine aménagée et équipée et un WC séparé.
A l'étage, palier, salle de bains avec WC et deux chambres...
149 800€
3 chambres Jardin Parking / Garage
Au calme, maison de plain-pied offrant une véranda en guise d'entrée, une arrière-cuisine faisant office de buanderie, une cuisine indépendante, un séjour-salon lumineux, une salle d'eau, des toilettes séparées, un dégagement et trois chambres.
Le...
149 800€
3 chambres Parking / Garage
EXCLUSIVITE ! Proche des commerces et des écoles, maison sur sous-sol total parfaitement entretenue comprenant au rez-de-chaussée: entrée avec placard, chambre, buanderie avec WC, chaufferie avec un point d'eau, cave, garages pour 3 voitures pouvant recev...
159 900€
3 chambres Jardin Parking / Garage
Exclusivité ! Ferme ancienne à rénover à St-Benoit-sur-Loire comprenant : cuisine aménagée, séjour-salon, palier, trois chambres, dressing, salle d'eau avec WC et chaufferie avec grenier aménageable de 59 m2 environ.
Le bien dispose de plusieurs dépen...
162 700€
3 chambres Jardin Parking / Garage
EXCLUSIVITE ! Au calme, maison de 124 m2 environ sur sous-sol total comprenant au rez-de-chaussée: entrée, grand séjour-salon avec cheminée et cuisine ouverte aménagée et équipée, couloir avec rangement, WC, salle de bains, deux chambres (dont une avec placard...
179 000€
3 chambres Jardin Parking / Garage
Exclusivité ! A Châteauneuf-sur-Loire, maison vigneronne de plain-pied; en hyper centre au calme comprenant un séjour-salon, une cuisine avec une cheminée à insert, trois chambres, une salle d'eau, un WC et un grand grenier accessible par escalier.
De...
199 900€
3 chambres Jardin
Maison neuve d'environ 90 m2 comprenant au rez-de-chaussée une entrée avec placards, une cuisine ouverte aménagée et équipée, un cellier, spacieux séjour salon équipé d'une climatisation réversible et l'accès sur la terrasse, salle d'eau av...
205 000€
5 chambres Parking / Garage
EXCLUSIVITE ! Située dans un environnement paisible, cette maison de 2004 offre confort, fonctionnalité et prestations récentes sur un terrain clos d'environ 1305 m2.
Au rez-de-chaussée, vous découvrirez une pièce de vie lumineuse avec poêle à granulés...
210 000€
3 chambres Jardin Parking / Garage
Au calme, à Châteauneuf-sur-Loire, Espace Immobilier vous propose en exclusivité une charmante longère datant de 1856.
Au rez-de-chaussée, vous trouverez un espace cuisine à aménager, un vaste salon avec cheminée à insert, une buanderie avec WC, une salle d...