LES ANNONCES
Acheter
49 000€
Exclusivité ! Terrain à bâtir proche des commerces d'environ 533 m2. Libre de constructeur - non viabilisé.
Possibilité de faire construire deux maisons mitoyennes.
55 000€
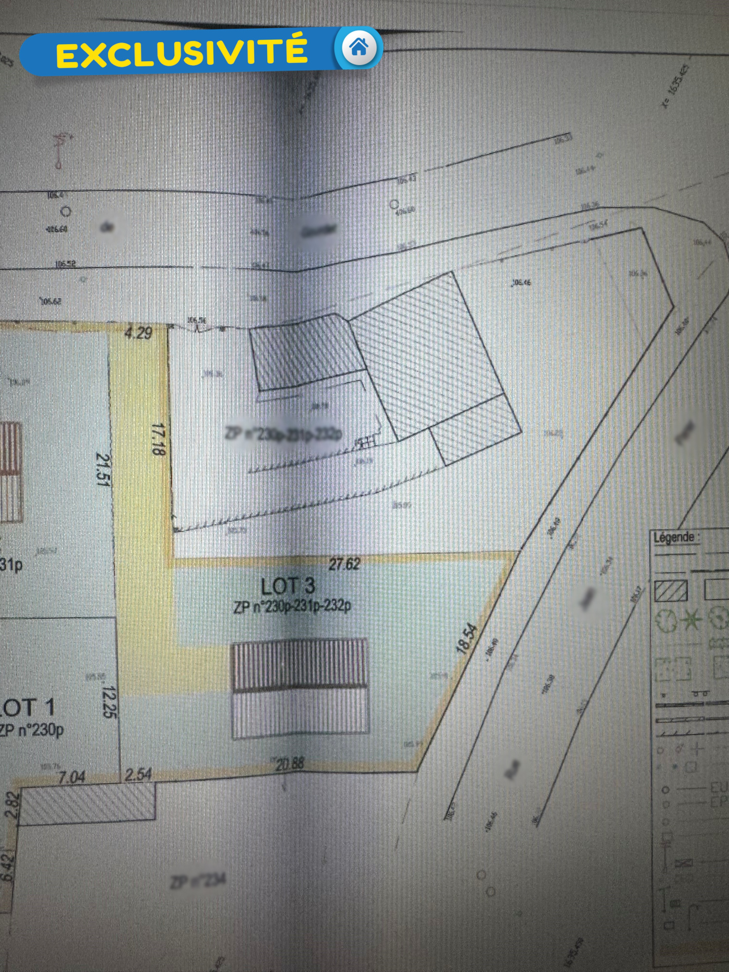
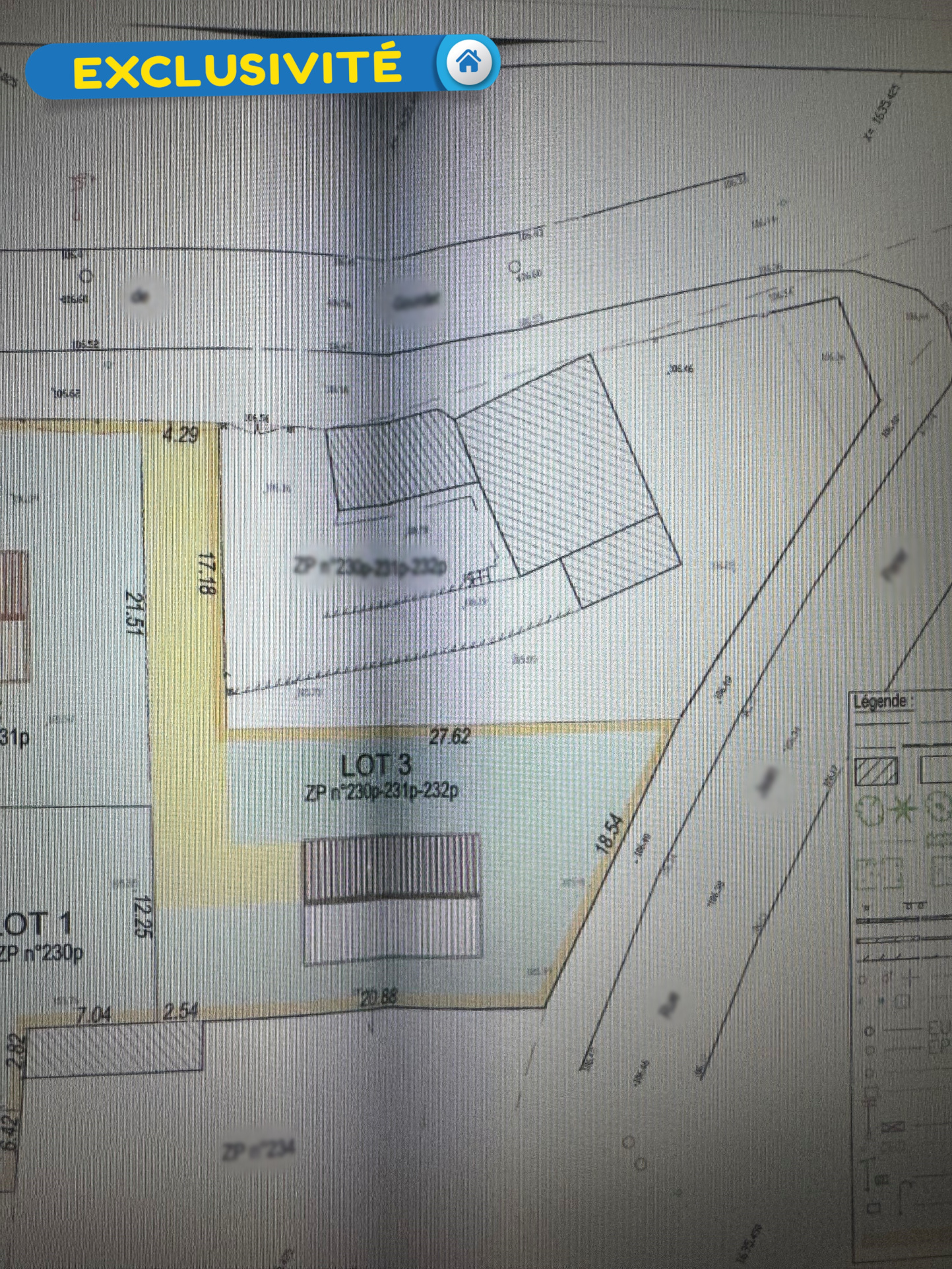
Sotheby's International Realty vous présente en exclusivité à Fay-aux-Loges, petite commune du Loiret d’environ 3?800 habitants, située à seulement 30 minutes d’Orléans, ce terrain à bâtir de 818 m² en second rang, offrant un recul d’environ 40 mètres par...
55 475€
Proche du centre, beau terrain à bâtir de 576 m² en premier rang.
Viabilisation sur rue (Eau, électricité, Tout à l'égout). Façade de 30 m.
Les informations sur les risques auxquels ce bien est exposé sont disponibles sur le site
Géorisques: www....
89 000€
Sur la commune de Fay aux loges en Limite de Donnery, superbe terrain entièremenr clos de 2700 m2 dont 1100 m2 constructibles. Dans un environnnement privilègié la parcelle est pour partie boisée, paysagée. Tous les réseaux passent en façade à l'exclusio...