88 000€
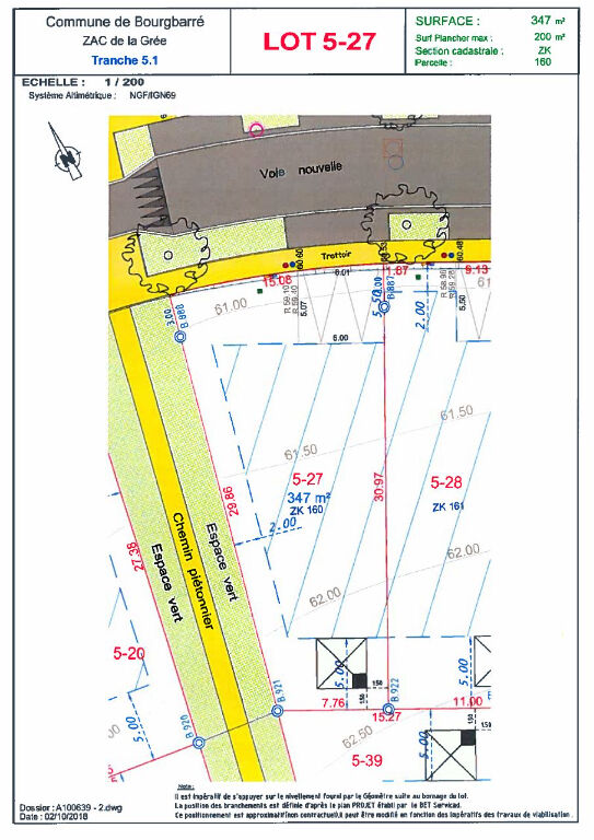
Groupe GIBOIRE - BOURGBARRÉ - Rennes métropole - ZAC De la Grée - Axes routiers Rennes/Nantes et Rennes/Angers.
L'Agence GIBOIRE de Bruz vous propose ce Terrain à Bâtir de 347 m², viabilisé et Libre de constructeur. Surface de plancher max 200 m².
...
116 000€
NOUVEAUTE - COGIR immobilier - Terrain de 700m² constructible à Bourgbarré, à proximité immédiate de l'accès 4 voies et à 12 min en voiture de la station de métro La Poterie à RENNES. Terrain borné, rectangulaire et facile à aménager
Terrain non viabil...
169 900€
A VENDRE EN EXCLUSIVITE CHEZ BLOT IMMOBILIER
TERRAIN VIABILISE - BOURGBARREE
Situé dans le secteur recherché de La Douettée à BOURGBARRÉ.
Découvrez ce beau terrain viabilisé de 748m², parfait pour concrétiser votre projet de construction.
Ce t...
199 900€
A VENDRE EN EXCLUSIVITE CHEZ BLOT IMMOBILIER
TERRAIN VIABILISE - BOURGBARREE
Situé dans le secteur recherché de La Douettée à BOURGBARRE.
Découvrez ce beau terrain viabilisé de 1 221m², prêt à accueillir votre nouveau projet de construction.
C...