Fnaim.fr
Menu

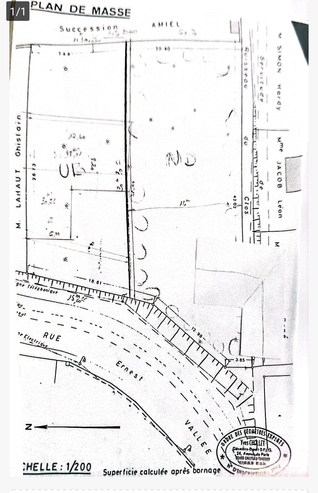
Achat Terrain 996m² NOGENT L ARTAUD 02310

77 000 Honoraires charge vendeur

Description du bien

Situé a Nogent l'artaud, gare à pied. Terrain a batir de 996 m2, avec une façade d'environ 25m . Tout à l'égout, eau, electricité sur rue. Terrain en hauteur de la route.. Pour plus d'information contacter votre agence M-IMMOBILIER. Bien proposé par votre agent commercial Valérie BONNARD EI RSAC 879063873
Les informations sur les risques auxquels ce bien est exposé sont disponible sur le site georisques : www.georisques.gouv.fr
HONORAIRE CHARGE VENDEUR

Etat des risques et pollutions

Les informations sur les risques auxquels ce bien est exposé sont disponibles sur le site Géorisques : www.georisques.gouv.fr.

Caractéristiques du bien

Composition du bien

  • Type de bien : Terrain

Localisation du bien

NOGENT L ARTAUD (02310) , AISNE (02) - HAUTS-DE-FRANCE

Ce bien n'est pas géolocalisé, pour connaitre sa géolocalisation, merci de contacter l'agence.

Nos professionnels vous accompagnent

Contactez notre agence !

3 PLACE DU MARCHE 02310 NOGENT L ARTAUD

Appeler l’agence Tél : 03 23 70 09 15

* Champs obligatoires

Nous vous informons de l’existence de la liste d’opposition au démarchage téléphonique « BLOCTEL » sur laquelle vous pouvez vous inscrire (https://www.bloctel.gouv.fr).

En complétant le formulaire «CONTACTEZ NOTRE AGENCE », je reconnais expressément que je consens au traitement de mes données personnelles et que je dispose du droit de retirer mon consentement à tout moment en m'adressant à support@fnaim.fr.
En savoir plus sur la gestion de vos données et droits : consulter nos mentions légales, « article 5/ Données à caractère personnel ».

En envoyant ce message, vous acceptez les conditions d'utilisation du site. Plus d'infos