Fnaim.fr
Menu

Visite virtuelle
Exclusivité
Réf. getkey_u_509661386

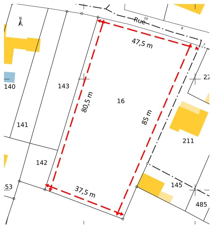
Achat Terrain 3 510m² ARS 16130

75 900 Honoraires charge acquéreur inclus : 8,4% TTC (69502 € hors honoraires)

Description du bien

Chasseur Immobilier vous présente ce terrain constructible, situé rue des écoles à ARS (16130)
Vous avez un PROJET de lotissement à moins de 15 minutes de COGNAC ?
Ne cherchez plus ! J'ai le terrain !

- Non viabilisé ( Les réseaux : eaux, assainissement collectif, électricité sont en bordure de terrain. )

Dans le cadre du PLUI , les orientations d'aménagement et de programmation ( OAP ) permettent la création d'un lotissements composé pour ce terrain de 3 lots minimum et nécessitera un permis d'aménager.

Terrain Situé :
- en zone hors zone bâtiment de France
- en zone C de préemption archéologique ( arrêté n°06.16.158 )
- Etude de sol G1 réalisée

Bien non soumis au DPE

Intéressé ? Contactez moi !

IMPORTANT :
Chers clients : inutile d'aller déranger le vendeur!
Le propriétaire m'a sollicité pour le travail de commercialisation et de visites.
Je fais le choix de mettre l'adresse pour vous permettre d'être efficace dans votre recherche.

Amis confrères, si vous avez un client pour lequel ce bien peut correspondre appelez moi et nous organiserons une visite avec plaisir.

Pour toutes visites je me tiens à votre disposition

Honoraires inclus de 8.43% TTC à la charge de l'acquéreur. Prix hors honoraires 70 000 €. Les informations sur les risques auxquels ce bien est exposé sont disponibles sur le site Géorisques : georisques.gouv.fr.

Votre conseiller : Agent commercial (Entreprise individuelle)
RSAC 909 524 613 Angouleme
RCP 62202050

Bien présenté par Agences de France par délégation.
Agences de France - SIREN : 899413603 - Titulaire de la carte T : 29012021000000009 non habilité à percevoir des fonds

Etat des risques et pollutions

Les informations sur les risques auxquels ce bien est exposé sont disponibles sur le site Géorisques : www.georisques.gouv.fr.

Caractéristiques du bien

Composition du bien

  • Type de bien : Terrain

Localisation du bien

ARS (16130) , CHARENTE (16) - NOUVELLE-AQUITAINE

Nos professionnels vous accompagnent

Contactez notre agence !

38 rue Jim Sevellec 29200 BREST

Appeler l’agence Tél : 06 88 18 36 89

* Champs obligatoires

Nous vous informons de l’existence de la liste d’opposition au démarchage téléphonique « BLOCTEL » sur laquelle vous pouvez vous inscrire (https://www.bloctel.gouv.fr).

En complétant le formulaire «CONTACTEZ NOTRE AGENCE », je reconnais expressément que je consens au traitement de mes données personnelles et que je dispose du droit de retirer mon consentement à tout moment en m'adressant à support@fnaim.fr.
En savoir plus sur la gestion de vos données et droits : consulter nos mentions légales, « article 5/ Données à caractère personnel ».

En envoyant ce message, vous acceptez les conditions d'utilisation du site. Plus d'infos