Fnaim.fr
Menu

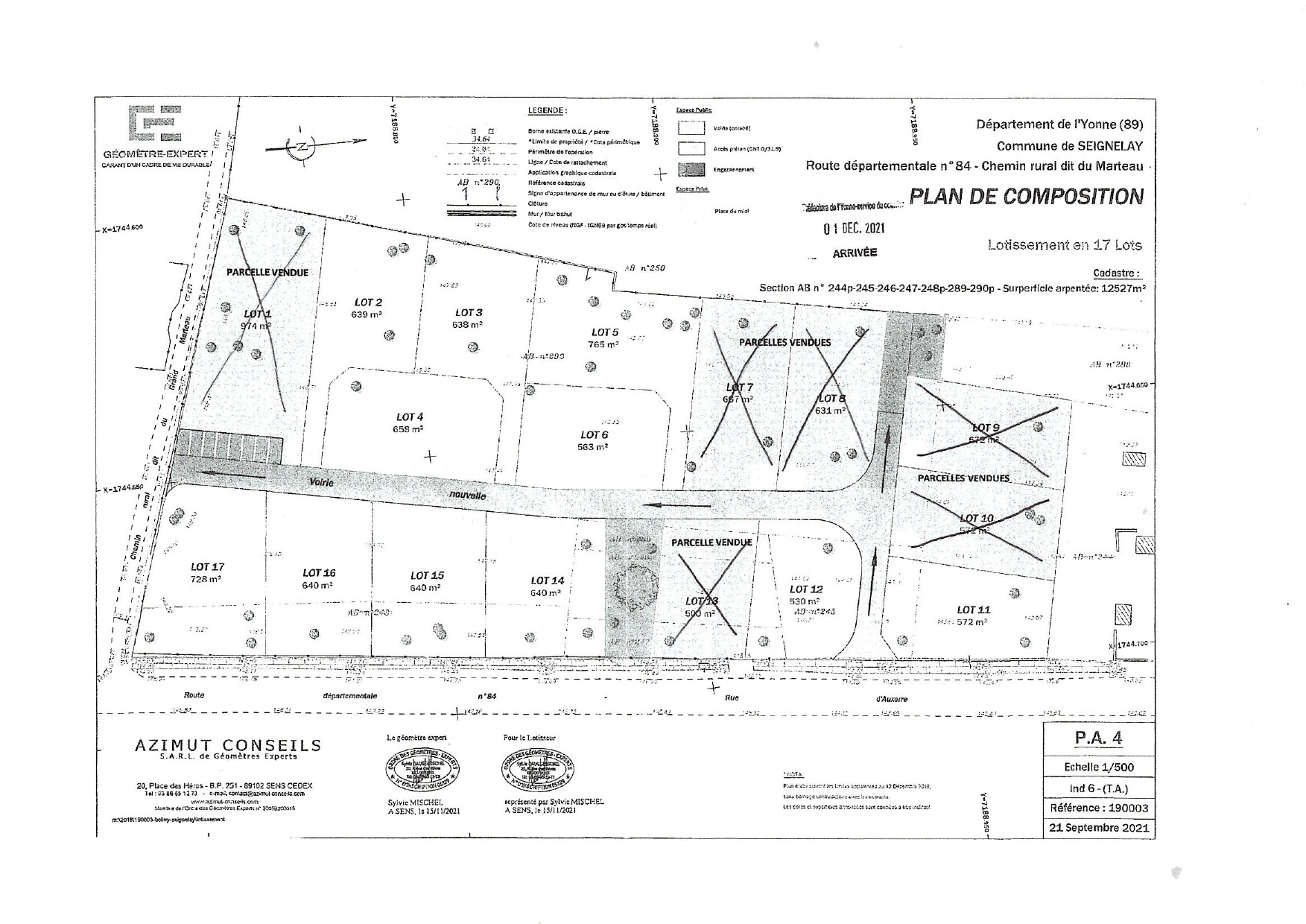
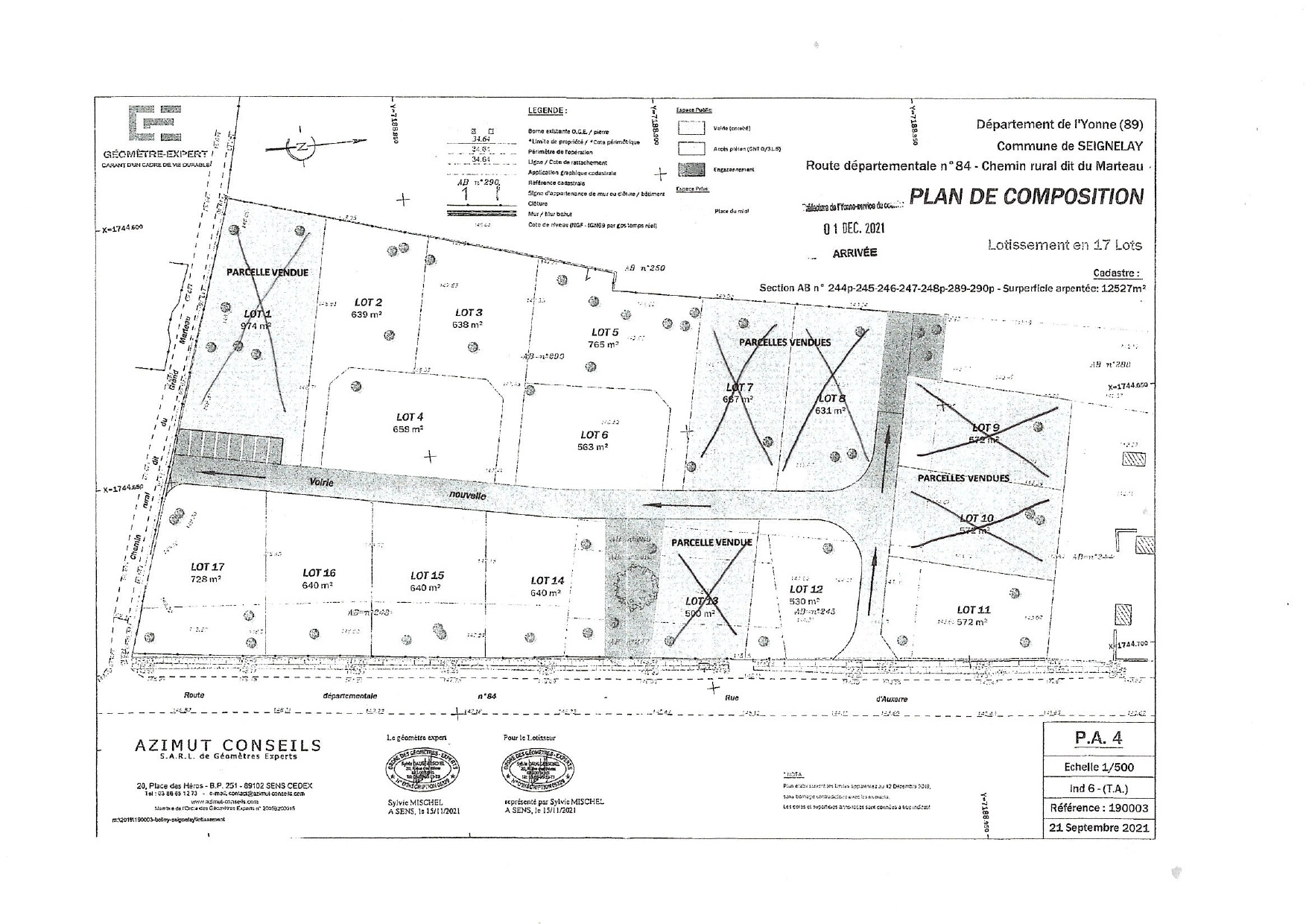
Terrain  765m² SEIGNELAY 89250 SEIGNELAY
Réf. 5_1175-D

Achat Terrain 765m² SEIGNELAY 89250

47 900 Honoraires charge acquéreur inclus : 11.4% TTC (42439 € hors honoraires)

Description du bien

A Seignelay, village tous commerces avec école et à 15 min d'Auxerre, faites l'acquisition d'un terrain constructible viabillisé (eau, électricité, égout, gaz et fibre) de 765 m2. Lot numéro 5 du lotissement.
D'autres terrains sont également disponibles pour des superficies entre 530 m2 et 765 m2.
N'hésitez pas à me contacter pour tous renseignements complémentaires. Mme Léana LATOUR, tél: 07.77.46.34.67. Retrouvez tous nos biens sur notre site internet. www.groupe123immo.com.
*Honoraires charges ACQUEREURS : 4900EUR TTC

Etat des risques et pollutions

Les informations sur les risques auxquels ce bien est exposé sont disponibles sur le site Géorisques : www.georisques.gouv.fr.

Caractéristiques du bien

Composition du bien

  • Type de bien : Terrain

Localisation du bien

SEIGNELAY (89250) , YONNE (89) - BOURGOGNE-FRANCHE-COMTÉ

Ce bien n'est pas géolocalisé, pour connaitre sa géolocalisation, merci de contacter l'agence.

Nos professionnels vous accompagnent

Contactez notre agence !

123 rue de Paris 89000 AUXERRE

Appeler l’agence Tél : 03 86 18 01 01

* Champs obligatoires

Nous vous informons de l’existence de la liste d’opposition au démarchage téléphonique « BLOCTEL » sur laquelle vous pouvez vous inscrire (https://www.bloctel.gouv.fr).

En complétant le formulaire «CONTACTEZ NOTRE AGENCE », je reconnais expressément que je consens au traitement de mes données personnelles et que je dispose du droit de retirer mon consentement à tout moment en m'adressant à support@fnaim.fr.
En savoir plus sur la gestion de vos données et droits : consulter nos mentions légales, « article 5/ Données à caractère personnel ».

En envoyant ce message, vous acceptez les conditions d'utilisation du site. Plus d'infos