86 400€
INEO HABITAT. AXE RENNES SAINT MALO. A proximité de BECHEREL, terrain avec étang sur lequel se trouve un ancien camion frigorifique aménagé comprenant une pièce de vie avec coin cuisine, une salle d'eau avec wc, une chambre et donnant sur et véranda et t...
87 500€
À VENDRE - BLOT IMMOBILIER
TERRAIN VIABILISÉ DE 3 217 m² AVEC ÉTANG, HABITAT LÉGER ET GARAGE - BÉCHEREL (35190)
LONGAULNAY (35190), proche BÉCHEREL - AXE RENNES / SAINT-MALO
Rare sur le marché ! Situé sur la commune de Longaulnay, non loin de Béche...
87 900€
L'Agence GAMET IMMOBILIER vous propose un terrain plat constructible de 4500m² à proximité immédiate du bourg de CHERRUEIX et de la grève à 5 minutes de DOL DE BRETAGNE et 20 min de SAINT MALO ! Quartier calme hors lotissement, libre de constructeur. Vend...
88 000€
Exclusivité Square Habitat ? Une belle opportunité à saisir !
Situé à la sortie du bourg de Irodouër, au calme d'une impasse et à proximité directe de l'axe RN12 et de Bédée (35137), ce terrain offre un cadre idéal pour votre projet de constructio...
90 000€
Notre agence, MPI, Mon Partenaire Immobilier, vous propose 17 Terrains constructibles et viabilisés, libres de constructeur, localisés sur la commune de L'HERMITAGE (35590), à 15 minutes à l'ouest de Rennes 35000, commune desservie par les bus de la ...
92 000€
A VENDRE EN EXCLUSIVITÉ à MORDELLES !
A découvrir rapidement, ce terrain constructible d'environ 220 m² est situé en hyper centre de la commune, à 100 mètres de la,place du marché.
Si vous souhaitez construire une maison dans un lieu qui vous perm...
92 500€
MONTFORT-SUR-MEU (35160) - Construisez votre future maison sur ce beau terrain à bâtir viabilisé et libre de constructeur d'une superficie de 405 m², pour une surface plancher constructible de 220 m². Etude géotechnique du sol effectuée et permis de const...
93 570€
Beau Terrain à Bâtir de 453m²
À la recherche du lieu idéal pour construire votre future maison ? Ce terrain est fait pour vous !
Caractéristiques principales :
- Lotissement de 10 lots
- Superficie : 453m²
- Terrain viabilisé
- Libre ...
93 640€
Terrains constructibles et viabilisés LIBRE DE CONSTRCUTEUR à partir 313 m² à 451 m², libres de constructeur, sur la commune de Mordelles (35310), à 15 minutes à l'ouest de Rennes 35000, commune desservie par les bus de la ville de Rennes (Réseau STAR) ...
95 660€
Beau Terrain à Bâtir de 464m²
À la recherche du lieu idéal pour construire votre future maison, ce terrain est fait pour vous !
Caractéristiques principales :
- Lotissement de 10 lots
- Superficie : 464m²
- Terrain viabilisé
- Libre d...
97 200€
INEO HABITAT, axe RENNES SAINT MALO, dans le bourg de TINTENIAC, superbe terrain à bâtir de 455m² borné et viabilisé. Il offre un emplacement rare dans un lotissement calme à proximité immédiate des commerces, des écoles et du canal. A voir!
97 200 EUR* (Pr...
97 500€
L'Agence GIBOIRE de BRUZ vous propose ce beau terrain d'environ 852 m² hors lotissement situé proche des commodités de la commune, à 5 minutes à pied des écoles et commerces. Vendu LIBRE DE CONSTRUCTEUR et non viabilisé. Zone EU.
97 500€
A VENDRE EN EXCLUSIVITÉ - ERCÉ PRÈS LIFFRÉ : Terrain constructible d'une superficie de 1000m², non viabilisé, borné, proche accès A84, libre de constructeur.
Non soumis au DPE.
Ref: 5811DR
Ce terrain vous est présenté par l'agence BLOT I...
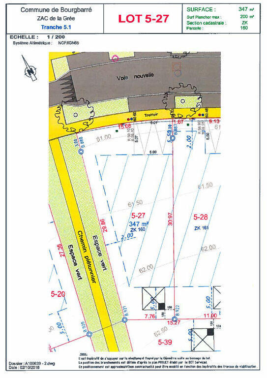
97 500€
Groupe GIBOIRE - BOURGBARRÉ - Rennes métropole - ZAC De la Grée - Axes routiers Rennes/Nantes et Rennes/Angers.
L'Agence GIBOIRE de Bruz vous propose ce Terrain à Bâtir de 347 m², viabilisé et Libre de constructeur. Surface de plancher max 200 m².
...
98 480€
PLERGUER - Terrain constructible de 788 m², borné , viabilisé et partiellement clôturé. Libre de constructeur. 2 min. des commerces, 8 min. de Dol-de-Bretagne, 10 min. de la gare TGV, 17 min. de St Malo.
Soizic BRETON (EI) Agent Commercial - Numéro RSAC :...
99 000€
Sur la commune de CINTRE 35310, située à 20 minutes à l'OUEST DE RENNES 35000
Saisissez l'Opportunité de Construire Votre Rêve à Cintre! ?
? Dernière Chance d'Acquérir Votre Parcelle de Rêve à Cintre ! Seulement 8 Lots Disponibles ! ?
V...
102 600€
INEO HABITAT TINTENIAC AXE RENNES/STMALO
A MONTREUIL SUR ILLE
Un terrain d'environ 662m² constructible en plein centre bourg, proche de la gare et borné.
La viabilisation est à prévoir, les réseaux arrivent à 200m du terrain (tout à l'égo...
106 720€
BREAL SOUS MONTFORT, à seulement 5 minutes de Mordelles et 15 minutes de RENNES, commune disposant de nombreux commerces, d'écoles et d'un collège.
Terrain constructible et viabilisé en partie, libre de constructeur,
Notre agence MPI 35, Mon p...
107 500€
A VENDRE - A proximité immédiate du centre-ville, venez découvrir ce beau terrain de 892m2 exposé sud, à viabiliser, situé dans un quartier calme.
Tous les raccordements sont à proximité : eau, électricité, gaz, tout-à-l'égout.
Idéalement situé, d...
108 000€
L'Agence GIBOIRE de Bruz vous propose ce terrain à bâtir d'une surface de 350 m², issu d'une division parcellaire, sur la commune de Pont-Réan (côté Bruz), en Rennes Métropole. Bus de la STAR et commerces accessibles à pied.
Terrain vendu à ...
109 140€
L AGENCE INEO HABITAT PROPOSE UN TERRAIN A VENDRE A MELESSE SUR L'AXE RENNES/STMALO.
Terrain constructible libre de constructeur et viabilisé (eau, tout à l'égout, PTT, élec) d'environ 310 m².
RARE A LA VENTE avec une vue sur la campagne,...
109 140€
L AGENCE INEO HABITAT PROPOSE UN TERRAIN A VENDRE A MELESSE SUR L'AXE RENNES/STMALO.
Terrain constructible libre de constructeur et viabilisé (eau, tout à l'égout, PTT, élec) d'environ 310 m².
RARE A LA VENTE avec une vue sur la campagne,...
109 500€
Exclusivité Part@Parth ! Parfait compromis entre la vie en Ville et en Campagne , au bout d'une impasse, loin de toute circulation et pourtant à quelques encablures de l'agglomération et à peine 2 kms de la gare de MONTFORT SUR MEU, nous vous propo...
109 700€
Située au Châtelier à Pléchâtel (35470), à 2km de la zone commerciale Cap Koad de Bain de Bretagne (35470), à 25 km des portes de Rennes (35000).
Terrain constructible borné ,non viabilisé situé dans un quartier calme prêt à accueillir votre projet.
E...
109 782€
INEO HABITAT TINTENIAC AXE RENNES / ST MALO
A SAINT GONDRAN DANS LE CENTRE BOURG
Un terrain constructible à vendre, d'environ 900m² , borné et non viabilisé. Il est parfaitement situé proche des commerces et de la 4 voies.
Libre de tout construc...