Fnaim.fr
Menu

Acheter

Exclusivité
Réf. 1820

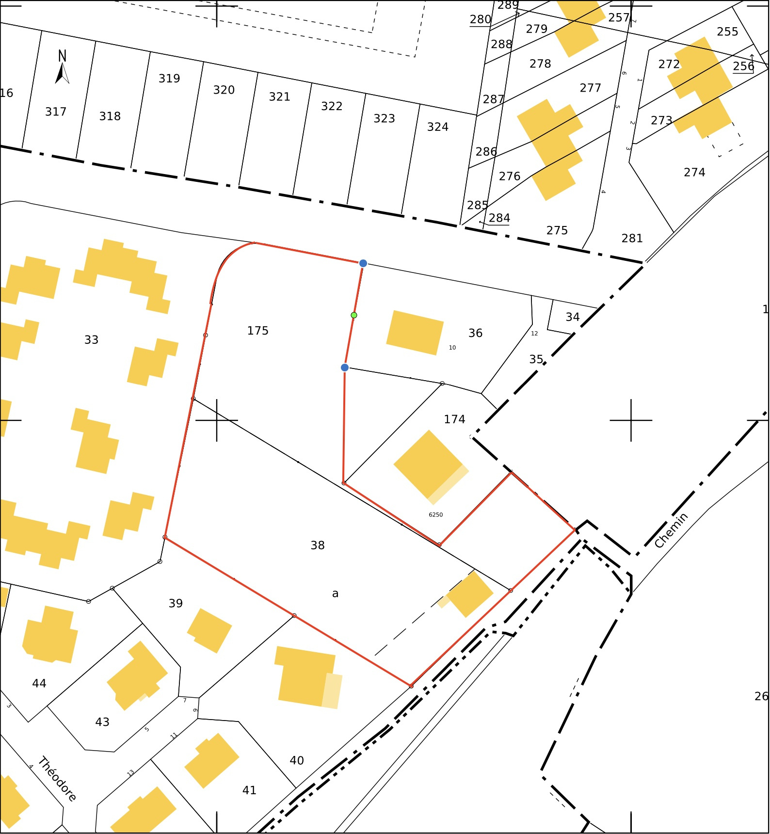
Achat Terrain 4 700m² GRAND CHAMP 56390

463 500 Honoraires charge acquéreur inclus : 3% TTC (450000 € hors honoraires)

Description du bien

EXCLUSIVITE - Proche du stade, grand terrain constructible d'environ 4700 m2, situé en zone Ubb au plan local d'urbanisme (parcelles cadastrées section AK no175 et 38). Possibilté de créer plusieurs lots. Belle opportunité.
Les informations sur les risques auxquels ce bien est exposé sont disponibles sur le site Géorisques : georisques.gouv.fr
Prix: 463500 EUR dont 13500 EUR TTC d'honoraires inclus à la charge de l'acquéreur (soit 3% TTC), soit 450000 EUR net vendeur.

Etat des risques et pollutions

Les informations sur les risques auxquels ce bien est exposé sont disponibles sur le site Géorisques : www.georisques.gouv.fr.

Caractéristiques du bien

Composition du bien

  • Type de bien : Terrain

Localisation du bien

GRAND CHAMP (56390) , MORBIHAN (56) - BRETAGNE

Ce bien n'est pas géolocalisé, pour connaitre sa géolocalisation, merci de contacter l'agence.

Nos professionnels vous accompagnent

Contactez notre agence !

1 Route de la Salette 56610 ARRADON

Appeler l’agence Tél : 0297419026

* Champs obligatoires

Nous vous informons de l’existence de la liste d’opposition au démarchage téléphonique « BLOCTEL » sur laquelle vous pouvez vous inscrire (https://www.bloctel.gouv.fr).

En complétant le formulaire «CONTACTEZ NOTRE AGENCE », je reconnais expressément que je consens au traitement de mes données personnelles et que je dispose du droit de retirer mon consentement à tout moment en m'adressant à support@fnaim.fr.
En savoir plus sur la gestion de vos données et droits : consulter nos mentions légales, « article 5/ Données à caractère personnel ».

En envoyant ce message, vous acceptez les conditions d'utilisation du site. Plus d'infos