LES ANNONCES
Acheter

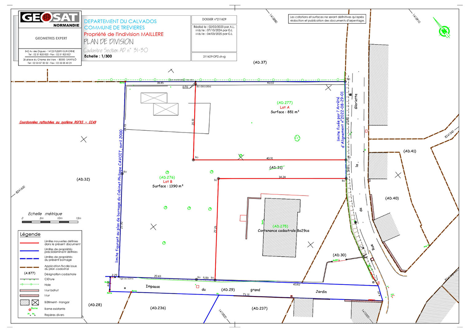
Envie de vous installer sur la commune de Trevières à 10 mn de la mer , pas très loin de saint laurent sur mer, colleville sur mer, vierville sur mer...
nous vous proposons un terrain non viabilisé 1390 m²
A votre disposition pour plus d'informations.
Conformément à la réglementation TRACFIN, une pièce d'identité sera demandée pour toute visite
Flo GUESNON EI
rsac de caen 853479418
Les informations sur les risques auxquels ce bien est exposé sont disponibles sur le site Géorisques : www.georisques.gouv.fr
Florence GUESNON (EI) Agent Commercial - Numéro RSAC : 883 456 394 - CAEN.