Fnaim.fr
Menu

Exclusivité
Réf. 3298

Achat Terrain 950m² DANNEMARIE 68210

115 000 Honoraires charge vendeur

Description du bien

AGENCES Jean-François SCHINDLER IMMOBILIER
Avis clients contrôlés.
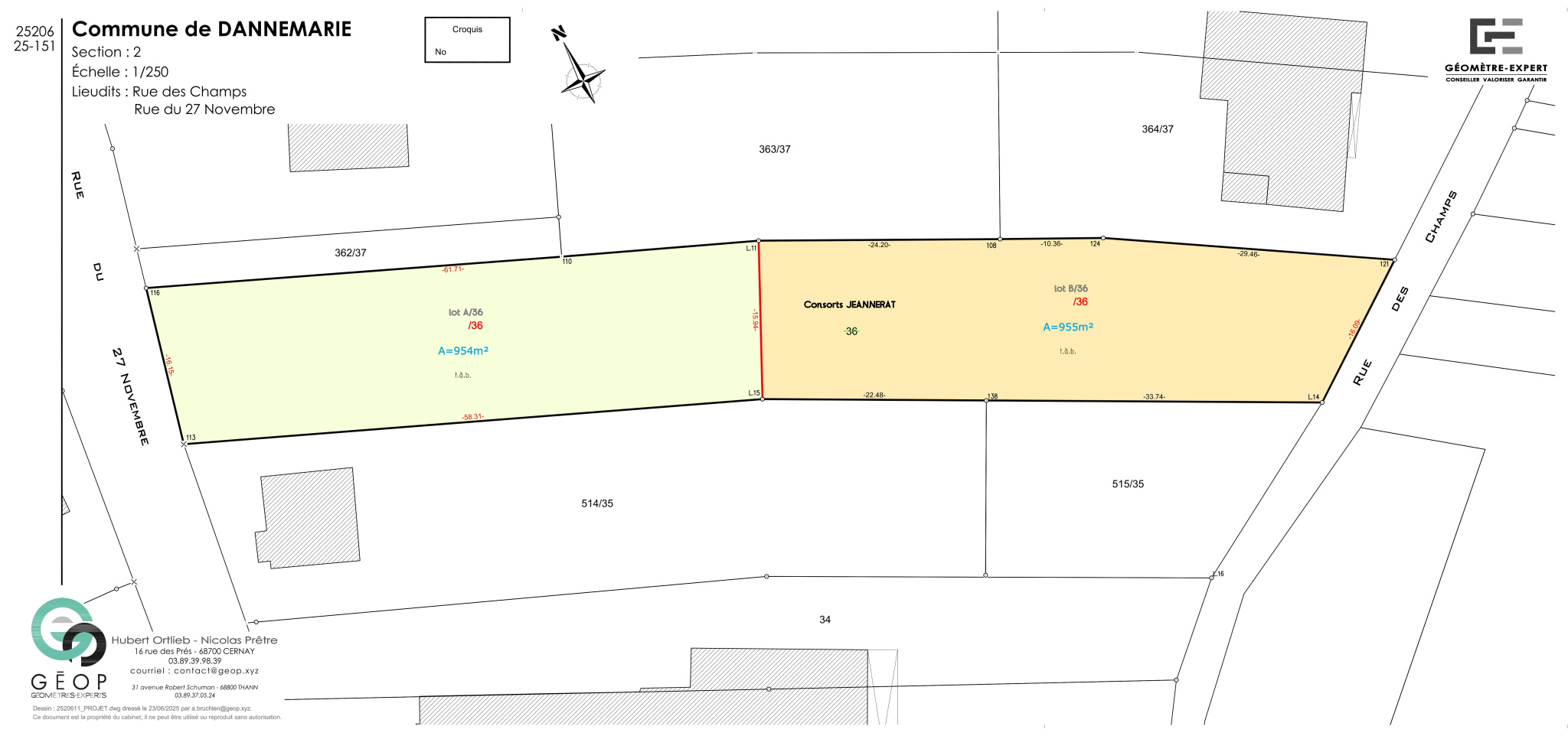
Réf : 3298 EN EXCLUSIVITÉ !
Belle parcelle de terrain à bâtir / DANNEMARIE
Sur un beau terrain plat de 19 ares 07 ca, 2 parcelles constructibles, proche des commodités de Dannemarie :
Réf.3297 / Parcelle de 9.5 ares environ (Section 2 No36, Lot No1) 104 000 EUR HAI
Réf.3298 / Parcelle de 9.5 ares environ (Section 2 No36, Lot No2) 115 000 EUR HAI
Les parcelles ne sont pas viabilisées
Bornage des parcelles et Etude de sol (Loi ELAN) en cours.
Les Cu opérationnels sont positifs.
INFORMATIONS COMPLÉMENTAIRES
GÉORISQUES : Les informations sur les risques auxquels ce bien est exposé sont disponibles sur le site : Géorisques
Honoraires à la charge du Vendeur.
Carte T CPI 9001 2016 000008553
RCP GALIAN 01_27586
Barème d'Honoraires
Jean-François Schindler Immobilier.
13 place du Général de Gaulle 90110 Rougemont-le-Château.
03.84.27.63.02.
Cette annonce vous est proposée par MANCEAU Christophe - - NoRSAC: 821118858, Enregistré au Greffe du tribunal de commerce de MULHOUSE

Etat des risques et pollutions

Les informations sur les risques auxquels ce bien est exposé sont disponibles sur le site Géorisques : www.georisques.gouv.fr.

Caractéristiques du bien

Composition du bien

  • Type de bien : Terrain

Localisation du bien

DANNEMARIE (68210) , HAUT-RHIN (68) - GRAND-EST

Ce bien n'est pas géolocalisé, pour connaitre sa géolocalisation, merci de contacter l'agence.

Nos professionnels vous accompagnent

Contactez notre agence !

13 PLACE DU GENERAL DE GAULLE 90110 ROUGEMONT LE CHATEAU

Appeler l’agence Tél : 03 84 27 63 02

* Champs obligatoires

Nous vous informons de l’existence de la liste d’opposition au démarchage téléphonique « BLOCTEL » sur laquelle vous pouvez vous inscrire (https://www.bloctel.gouv.fr).

En complétant le formulaire «CONTACTEZ NOTRE AGENCE », je reconnais expressément que je consens au traitement de mes données personnelles et que je dispose du droit de retirer mon consentement à tout moment en m'adressant à support@fnaim.fr.
En savoir plus sur la gestion de vos données et droits : consulter nos mentions légales, « article 5/ Données à caractère personnel ».

En envoyant ce message, vous acceptez les conditions d'utilisation du site. Plus d'infos